조황관리HOME / 조황관리 / 상세정보

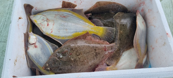
제목 : 7월 3주차 조항사진 가자미체험 1인3만원 장비채비무료 엄청잡히네요!! 꽝이없네요
등록일 : 2024-07-22



1인3만원 낚시채비 장비 미끼 모두무료

어린아이부터 왕초보환영 꽝이없네요 요즘~~
너무 많이나와서 당황스럽네요 올해 2024년중
요즘들어 가장 많이나오는것같습니다!!

서둘러서 낚시오세요~



갈매기배낚시 속초&양양 선상낚시
여성 아이들도 쉽게 잡을수있어요~~ 초보환영



1. 인원제한 없이 함께 이동하며 야외활동이 가능합니다.




2.오션뷰 호텔이 필요없는 선상배에서 바다구경할 수 있습니다.




3.깨끗한 배, 휴게실, 화장실 보유하여 불편함이 없습니다.




4.갓 잡은 횟감 가장 신선할때 먹을 수 있습니다.


"종일낚시 이용 시 김밥, 컵라면 제공 중"


초보낚시조사님들은 낚시 채비 없어서 막막하다면 걱정마세요!


갈매기배낚시에서 낚시용품, 미끼, 장비 모두 구매 및 대여 가능합니다.


배낚시를 성공하고싶다면 결국엔 선장님 경력이 가장 중요합니다.




갈매기배낚시 선장님은 20년 ~ 40년 넘으신 베테랑 선장님으로


포인트지점이 확실하여 손맛, 입맛 모두 느껴보실 수 있어요!!


갈매기배낚시는 낙산항에 위치하고있으며 가장 배를 많이 보유하고 있는 업체입니다.


먼길에서 믿고 오시는 만큼 실망시켜드리지 않기 위해 최선을 다하도록 하겠습니다.


낚시이용 중 불편한점이 있었다면 개별로 연락주시면 감사드리겠습니다.


속초가자미낚시/삼치낚시/대구낚시/무늬오징어낚시/문어낚시 등 성공하고싶다면 갈매기배낚시로
KakaoTalk_20240713_174759665.jpg


KakaoTalk_20240713_174759665_01.jpg


KakaoTalk_20240713_174759665_02.jpg


KakaoTalk_20240716_084718927.jpg


KakaoTalk_20240716_084718927_01.jpg


KakaoTalk_20240716_120250114.jpg


KakaoTalk_20240716_120250114_01.jpg


KakaoTalk_20240719_095733895.jpg


KakaoTalk_20240719_095733895_01.jpg


KakaoTalk_20240720_160354253.jpg


KakaoTalk_20240720_160354253_01.jpg


KakaoTalk_20240720_160354253_02.jpg


KakaoTalk_20240720_160354253_03.jpg


KakaoTalk_20240720_162303190.jpg


KakaoTalk_20240720_162303190_01.jpg


KakaoTalk_20240720_162303190_02.jpg


KakaoTalk_20240720_162303190_03.jpg


KakaoTalk_20240720_162303190_04.jpg


KakaoTalk_20240720_162303190_05.jpg


KakaoTalk_20240720_162303190_06.jpg



네임카드.jpg



=====
갈매기 배낚시 예약안내 ======

안녕하세요! 갈매기 배낚시입니다.
먼길 찾아주시는 조사님들을 위해 항상 최선을 다하겠습니다. 

■ 예약문의 : 
010-5647-4747

■ 오시는길 : 강원 양양군 강현면 낙산사로 43, 갈매기배낚시

■ 갈매기 배낚시 실시간 예약 바로가기 :
http://eastseatour.sunsang24.com/

■ 계좌안내 :
 기업은행 / 010-5647-4747 / 김태철

동해 갈매기 배낚시 조황카드.gif 
Top